Other Sheffield Lake Services

Concrete Lifting Concrete Repair Slab Jacking Driveway Leveling Sidewalk Lifting Property Stabilization
Concrete Lifting

Our concrete lifting services in Sheffield Lake, OH, address uneven and sinking surfaces to improve safety and appearance. We focus on quality, clear communication, and practical results for residential and commercial properties. Trust our local experts to restore stability and curb appeal efficiently and professionally.

Read more
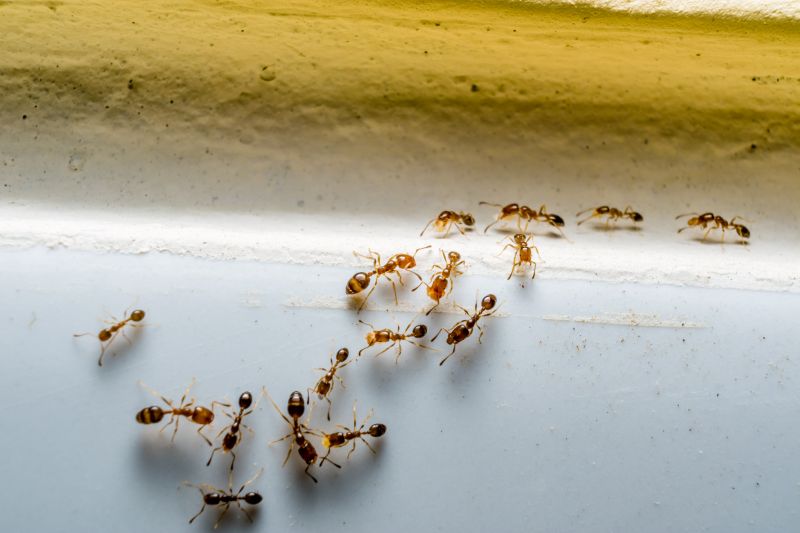
Ant Extermination Pest Control Sheffield Lake Pest Management Local Pest Services
Ants Extermination Service

Trusted local experts in Sheffield Lake, OH, offer effective ant extermination and pest control solutions. Our services focus on clear communication, thorough treatment, and practical results to eliminate ant infestations and prevent future issues, ensuring a pest-free environment for homes and businesses.

Read more
Drainage Pump Water Management Flood Prevention Sheffield Lake Oh Drainage System Water Drainage
Drainage Pump Installation

Expert drainage pump installation services in Sheffield Lake, Ohio help property owners manage excess water and prevent flooding. Our team provides clear communication, precise installation, and practical solutions to safeguard your home or business. Trust us for reliable water management that protects your property's foundation and landscaping, ensuring long-term peace of mind.

Read more
Engineered Wood Flooring Installation Home Renovation Subfloor Preparation Flooring Services Sheffield Lake Oh
Engineered Wood Installation

Expert engineered wood installation services in Sheffield Lake, Ohio, focus on quality craftsmanship and clear communication. Our team provides reliable flooring solutions that enhance your home's aesthetic and functionality, ensuring long-lasting results tailored to your needs. We handle related flooring services, from subfloor preparation to moisture barriers, delivering practical outcomes with a straightforward, professional process.

Read more
Wood Flooring Flooring Installation Sheffield Lake Oh Flooring Services Residential Flooring
Wood Flooring Installation

Offering expert wood flooring installation in Sheffield Lake, OH, our team specializes in creating durable, attractive floors for residential and commercial spaces. We focus on quality craftsmanship, clear communication, and a seamless process to ensure practical and lasting results. From preparation to finishing, our local specialists deliver reliable service that enhances your property's aesthetic and value.

Read more
Pavement Repair Uneven Pavement Driveway Leveling Walkway Repair Paving Services
Uneven Pavement Repair

Professional uneven pavement repair in Sheffield Lake, Ohio, restores safety and appearance by addressing cracks, dips, and uneven surfaces. Our local team provides quality craftsmanship, clear communication, and durable results for driveways and walkways, ensuring long-lasting, practical solutions for residential and commercial properties.

Read more
Floor Installation Hardwood Flooring Hickory Floors Sheffield Lake Oh Residential Flooring
Hickory Floor Installation

Providing expert Hickory floor installation in Sheffield Lake, Ohio, our services focus on quality craftsmanship, clear communication, and practical results. We help homeowners enhance their living spaces with durable, attractive flooring solutions tailored to your needs, ensuring a smooth, professional process from start to finish.

Read more
Sidewalk Leveling Concrete Repair Concrete Stabilization Sidewalk Repair Property Safety Sheffield Lake
Sidewalk Leveling

Local sidewalk leveling experts in Sheffield Lake, Ohio, specialize in restoring even, safe walkways. Our services enhance safety, curb appeal, and property value through professional concrete repair and stabilization. We focus on clear communication, quality results, and a hassle-free experience for homeowners and businesses alike.

Read more
Laminate Flooring Floor Installation Sheffield Lake Oh Residential Flooring Commercial Flooring
Laminate Floor Installation

Providing professional laminate floor installation in Sheffield Lake, OH, with a focus on quality craftsmanship and clear communication. Our services enhance the look and durability of residential and commercial spaces, ensuring a smooth process and lasting results for local homeowners and property managers.

Read more
Hardwood Flooring Floor Installation Sheffield Lake Flooring Services Wood Floors
Tiger Wood Floor Installation

Offering expert Tiger Wood floor installation in Sheffield Lake, OH, our services focus on quality craftsmanship, clear communication, and seamless execution. We help property owners achieve durable, attractive flooring that enhances their space's beauty and value, whether for residential or commercial projects. Our local team ensures a smooth process from planning to completion, providing reliable results tailored to your needs.

Read more